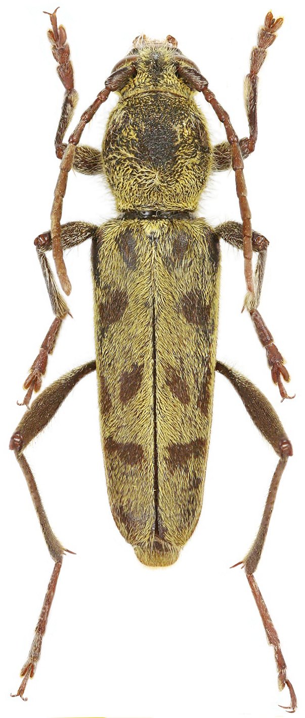
_Holzschuh_China_NE_Sichuan_Nanping_Bailhe.jpg)
Specimen Type: holotype Sex: m Institution: Holzschuh Collection Determiner: Entomologica Basiliensa Collection Location: Nanping, Baihe, Sichuan Province, China 56412
|
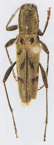
_Holzschuh_Qinling_Mtns_China.jpg)
Sex: m Photographer: Meiying Lin Collection Location: Qinling Mountains, China 73411
|