_Holz.jpg)
Specimen Type: holotype Sex: f Institution: Holzschuh Collection Photographer: Dan Heffern Collection Location: Jintiang (Tcho-nin), W Sichuan, China 37076
|
_Holzschuh_China_W_Sichuan_Jintiang.jpg)
Specimen Type: holotype Sex: f Institution: Holzschuh Collection Determiner: Schrift. Forstlichen Bundesversuchsanstalt Collection Location: Jintiang (Tcho-nin), W Sichuan, China 37075
|

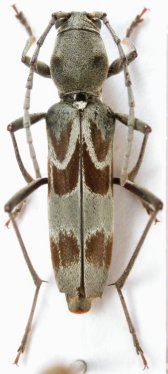
Institution: LGBC Larry G. Bezark Collection, Sacramento, California, USA Photographer: Larry G. Bezark Collection Location: Jiuzhaigao, Baihe, Sichuan, China 49346
|
|