New Search Family, Subfamily and Tribe List

SubFamily Cerambycinae

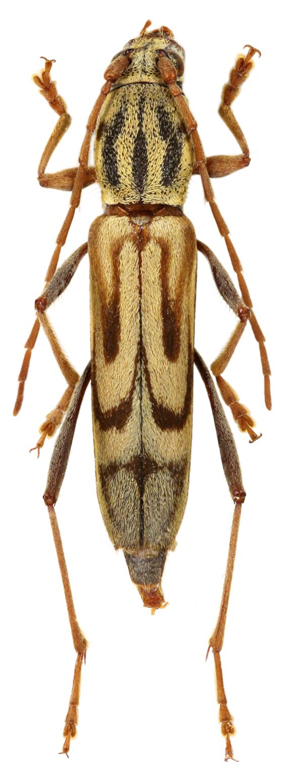
Tribe Clytini
Demonax lineatus (Chevrolat, 1863)

Sex: f
Institution: Viktora Collection
Photographer: Petr Viktora
Collection Location: Umrongso, Assam, NE India
81279

130425