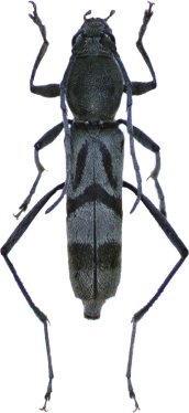
_Holz.jpg)
Specimen Type: holotype Sex: m Institution: Holzschuh Collection Photographer: Lubo Dembický Collection Location: Chiang Mai, Doi Pui. Northern Thailand 36552
|
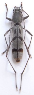
_Holzschuh_FBVA.jpg)
Specimen Type: holotype Sex: m Institution: Holzschuh Collection Determiner: Schrift. Forstlichen Bundesversuchsanstalt Collection Location: Chiang Mai, Doi Pui. Northern Thailand 36553
|