New Search Family, Subfamily and Tribe List

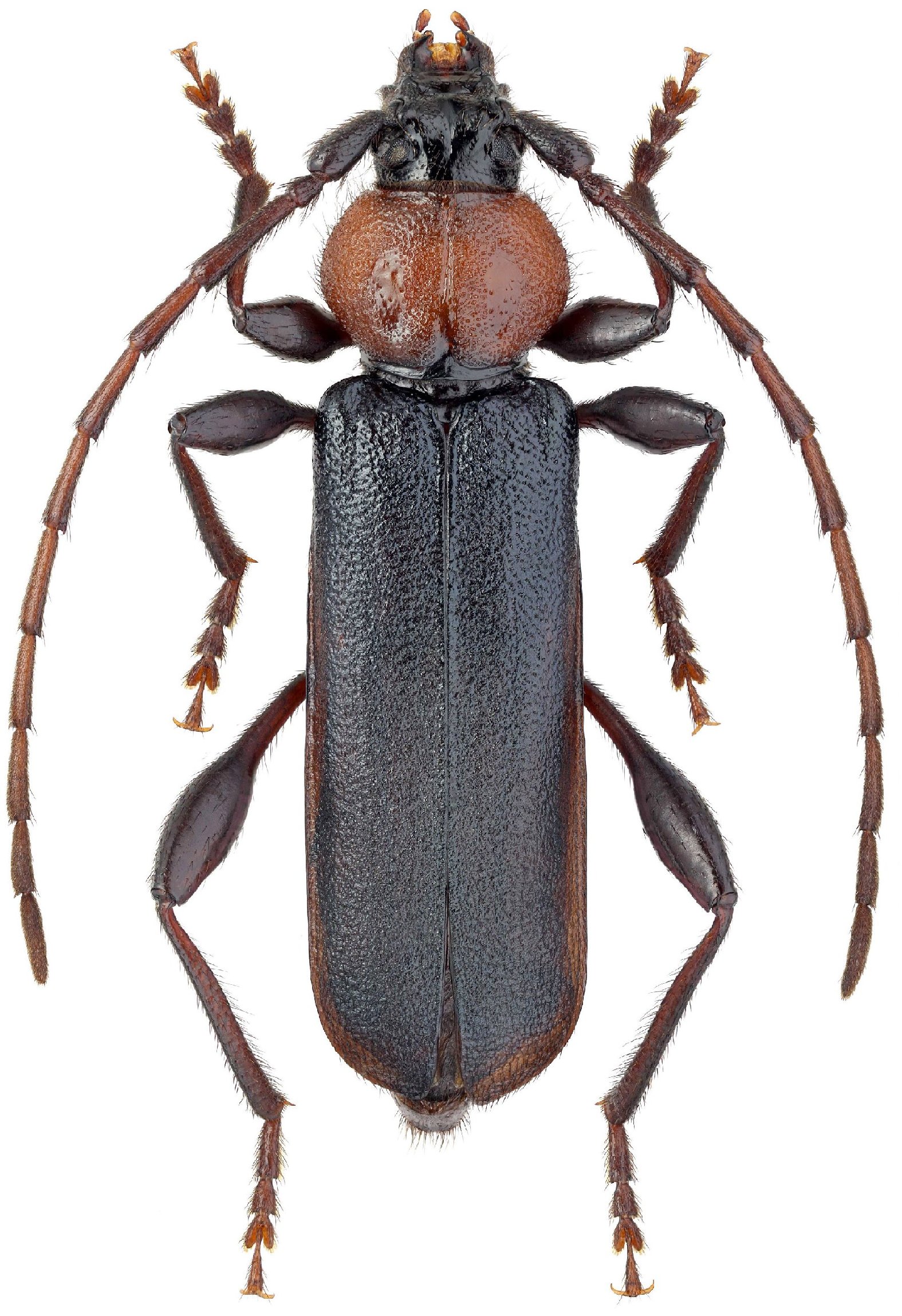
SubFamily Cerambycinae

Tribe Callidiini
Ropalopus ruficollis Matsumura 1911

Sex: f
Photographer: Kirill V. Makarov
Collection Location: Mount Bolshevik, Yuzhno-Sakhalinsk, Sakhalin Region, Russian Far East
79994

130425