_Gressitt_CAS_3993_LGB.jpg)
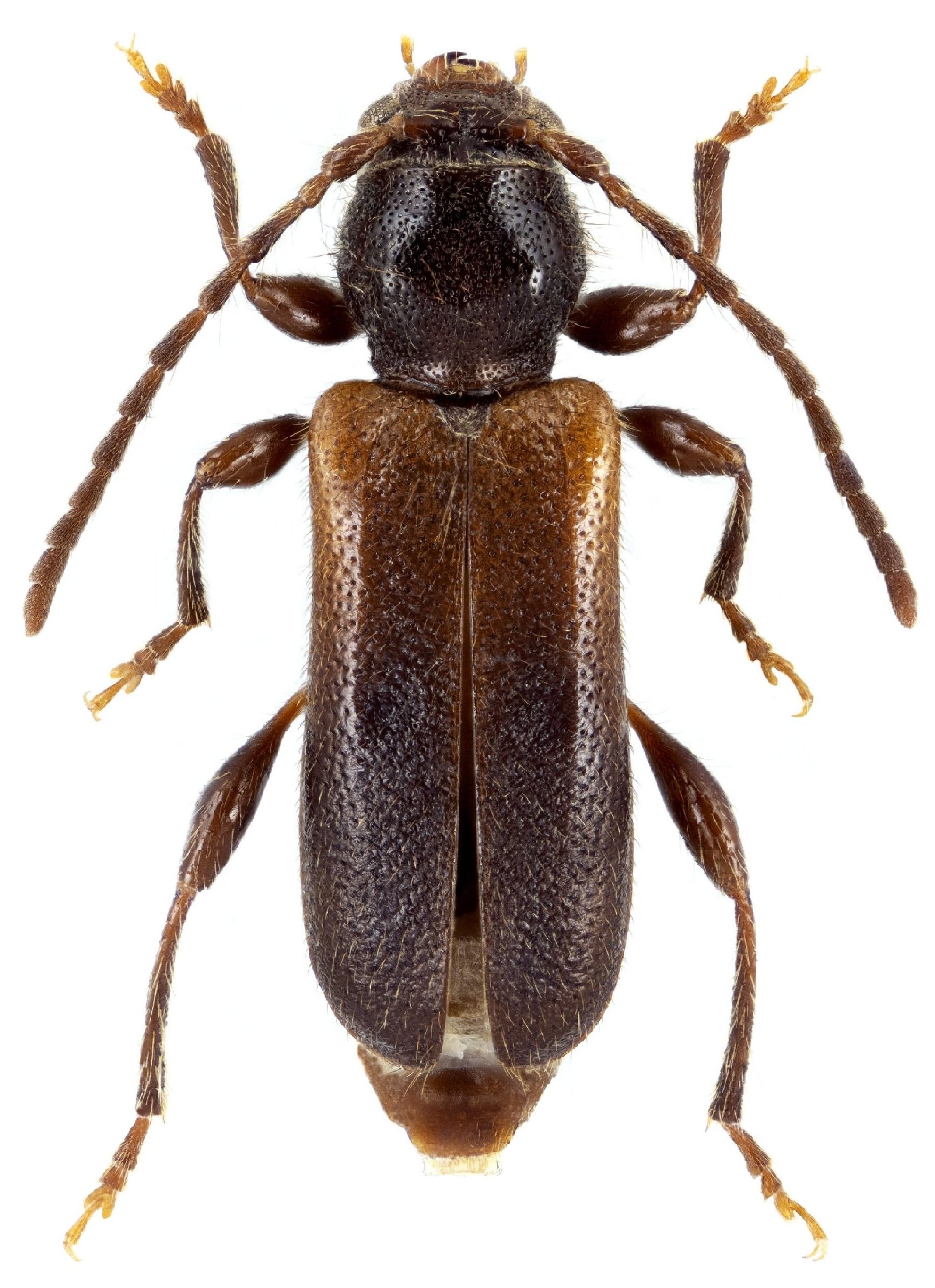
Phymatodes vandykei Gressitt Specimen Type: holotype Institution: CAS California Academy of Sciences, San Francisco, CA, USA Photographer: Larry G. Bezark Collection Location: Sapporo, Hokkaido, Japan 56803
|
_CAS.jpg)
Phymatodes vandykei Gressitt Specimen Type: paratype Institution: CAS California Academy of Sciences, San Francisco, CA, USA Photographer: Larry G. Bezark Collection Location: Sapporo, Hokkaido, Japan 56804
|

Photographer: David Navratil Collection Location: Ryazanovka village, Primorsky krai, Russian Far East 79849
|
_Yongji_Shanxi_China_LGB.jpg)
Institution: LGBC Larry G. Bezark Collection, Sacramento, California, USA Photographer: Larry G. Bezark Collection Location: Yongji, Shaanxi, China 49523
|

Phymatodes ussuricus Plavilstshikov Institution: LGBC Larry G. Bezark Collection, Sacramento, California, USA Photographer: Larry G. Bezark 56802
|
|