_Gressitt_China_USNM.jpg)
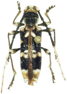
Aglaophis apicicornis Gressitt Specimen Type: holotype Sex: f Institution: CAS California Academy of Sciences, San Francisco, CA, USA Photographer: Larry G. Bezark Collection Location: near Muping, Sichuan, China 31541
|
_Leigongshan_Guizhou_China_Shulin_Yang.jpg)
Photographer: Shulin Yang, Cerambycoidea Forum Collection Location: Leigong Shan, Guizhou, China 55445
|