_Pic_MNHN_Xizang_Tibet_China_now_Paraclytus_Russian_Ent_J.jpg)
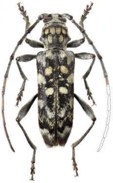
Anaglyptus thibetanus Pic Specimen Type: holotype Sex: f Institution: MNHN Museum of Natural History Paris, France Photographer: Meiying Lin Collection Location: Xizang (Tibet) Province, China 58860
|
_Pic_Meiying.jpg)
Anaglyptus thibetanus Pic Specimen Type: holotype, paratype Institution: MNHN Museum of Natural History Paris, France Photographer: Meiying Lin Collection Location: Tibet 42979
|