_Holzschuh_Crete_Lefka_Ora_Omalos.jpg)
Specimen Type: holotype Sex: m Institution: Holzschuh Determiner: Schrift. Forstlichen Bundesversuchsanstalt Collection Location: Lefka, Ora Omalos, Crete 31731
|

Photographer: Boza & Sedlacek Collection Location: Omalos, Crete, Greece 75663
|

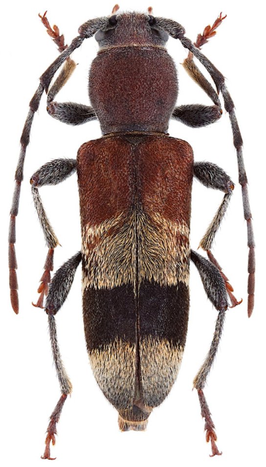
Institution: JCPC Jim Cope Collection, San Jose, California, USA now at CSCA, Sacramento Photographer: Larry G. Bezark Determiner: Gianfranco Sama Collection Location: Omalos, Crete 98277
|

Institution: JCPC Jim Cope Collection, San Jose, California, USA now at CSCA, Sacramento Photographer: Larry G. Bezark Determiner: Gianfranco Sama Collection Location: Omalos, Crete 98278
|

Institution: LGBC Larry G. Bezark Collection, Sacramento, California, USA Photographer: Larry G. Bezark Collection Location: Omalos, Crete, Greece 37593
|

Institution: LGBC Larry G. Bezark Collection, Sacramento, California, USA Photographer: Larry G. Bezark Collection Location: Omalos, Crete, Greece 37594
|

Photographer: Michal Hoskovec 31730
|
|