New Search Family, Subfamily and Tribe List

SubFamily Cerambycinae

Tribe Anaglyptini
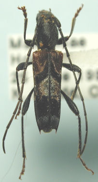
Anaglyptus niponensis Bates 1884

Institution: LGBC Larry G. Bezark Collection, Sacramento, California, USA
Photographer: Larry G. Bezark
Collection Location: Matsumae, Hokkaido, Japan
31727


31728

130425