New Search Family, Subfamily and Tribe List

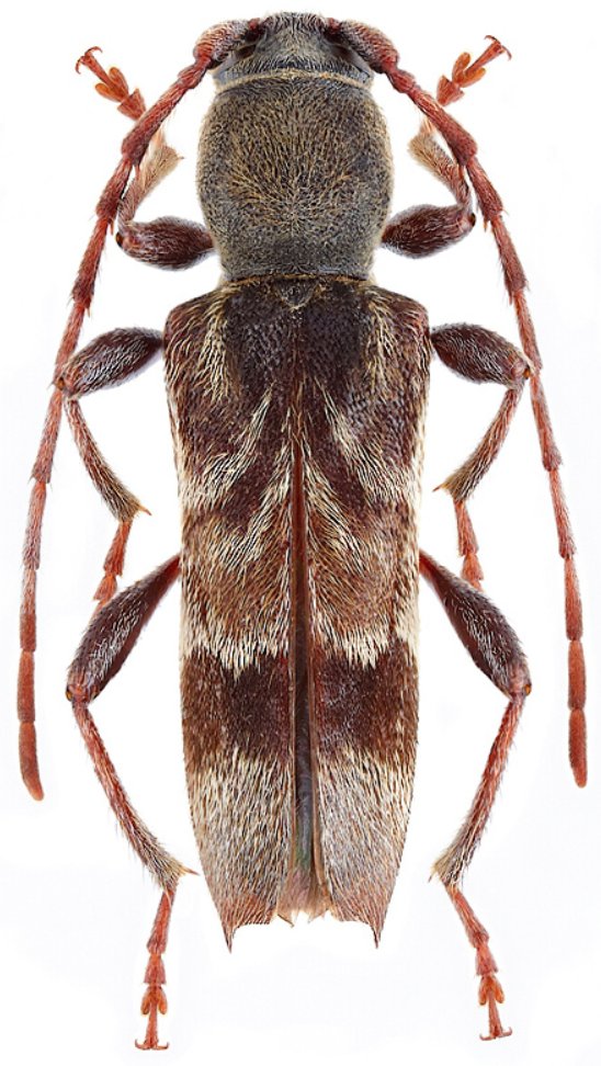
SubFamily Cerambycinae

Tribe Anaglyptini
Anaglyptus gibbosus (Fabricius, 1787)

Photographer: Boza & Sedlacek
Collection Location: Istria, Croatia
75661


Institution: CAS California Academy of Sciences, San Francisco, CA, USA
Photographer: Larry G. Bezark
31573


Photographer: Denis Kasatkin
Collection Location: Italy
31574


Photographer: Eduard Vives
Collection Location: Spain
31575

130425