_Ohbay_Wang_YUAC_Houhe,_Wufeng_Tujiazu_Zizhixian_Hubei_prov_China.jpg)
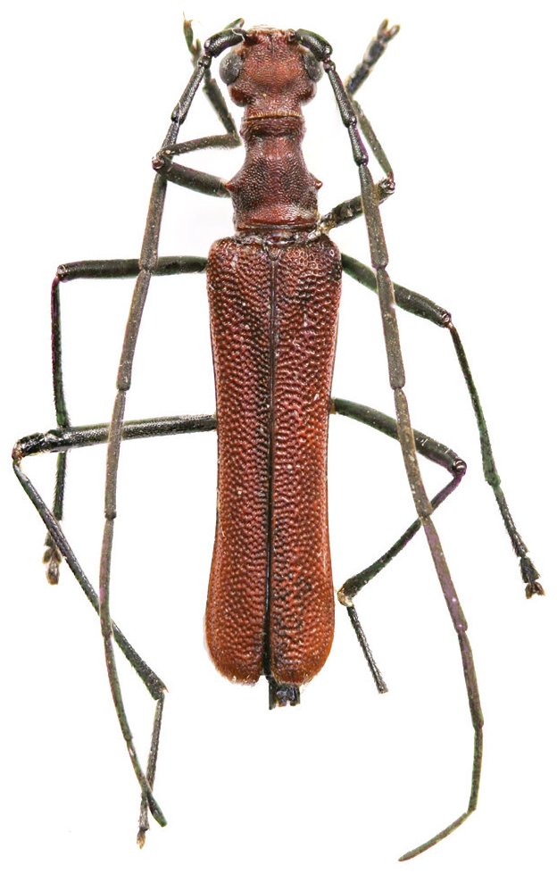
Specimen Type: holotype Sex: f Institution: EMYU Entomological Museum, Yangtze University, Jingzhou, China Determiner: Elytra, Tokyo Collection Location: Houhe, Hubei Province, China 54556
|
_Ohbayashi_Wang_EMYU_Houhe_Wufeng_Pref_Hubei_China_Elytra.jpg)
Specimen Type: holotype Sex: f Institution: EMYU Entomological Museum, Yangtze University, Jingzhou, China Determiner: Elytra, Tokyo Collection Location: Houhe, Hubei Province, China 59150
|