New Search Family, Subfamily and Tribe List

SubFamily Lepturinae

Tribe Pidoniini
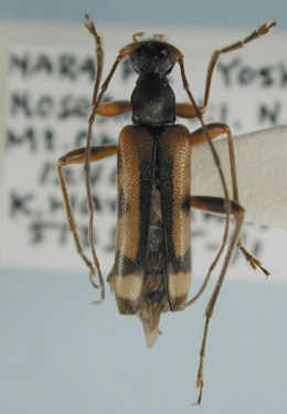
Pidonia yamato Hayashi & Mizuno 1953

Institution: LGBC Larry G. Bezark Collection, Sacramento, California, USA
Photographer: Larry G. Bezark
Collection Location: Nara, Nara Prefecture, Japan
57005

130425