New Search Family, Subfamily and Tribe List

SubFamily Lepturinae

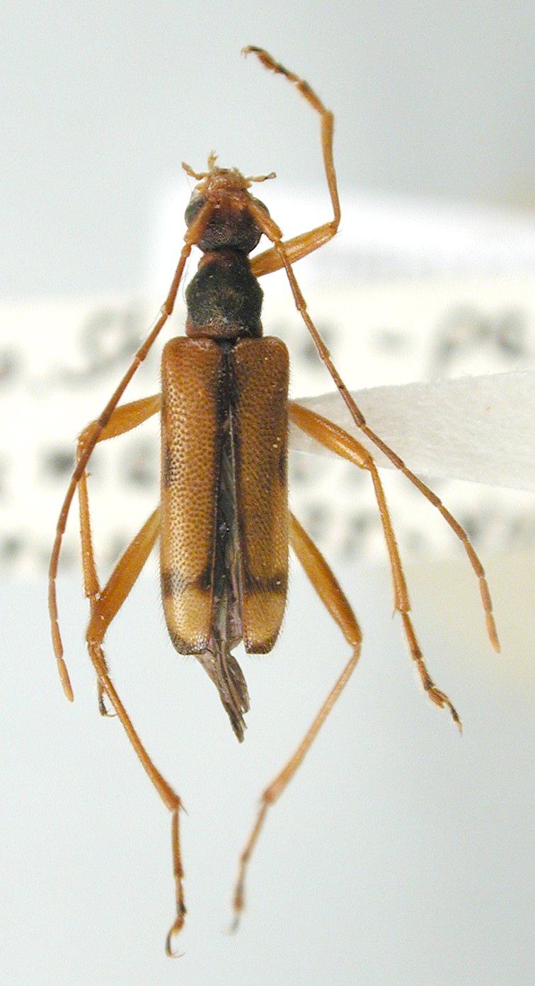
Tribe Pidoniini
Pidonia shikokensis shikokensis Chujo & Hayashi 1951

Institution: JCPC Jim Cope Collection, San Jose, California, USA now at CSCA, Sacramento
Photographer: Larry G. Bezark
Determiner: Jim Cope
Collection Location: Shiiya Pass, Kunamoto Prefecture, Japan
99511

130425