New Search Family, Subfamily and Tribe List

SubFamily Lepturinae

Tribe Pidoniini
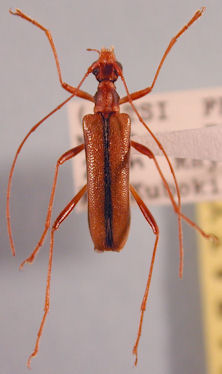
Pidonia paradisiacola Kuboki 1977

Specimen Type: paratype
Institution: CAS California Academy of Sciences, San Francisco, CA, USA
Photographer: Larry G. Bezark
Collection Location: Tsifeng, Nantou Hsieng, Taiwan
56990


Photographer: Kuboki
Collection Location: Taiwan
56989

130425