New Search Family, Subfamily and Tribe List

SubFamily Lepturinae

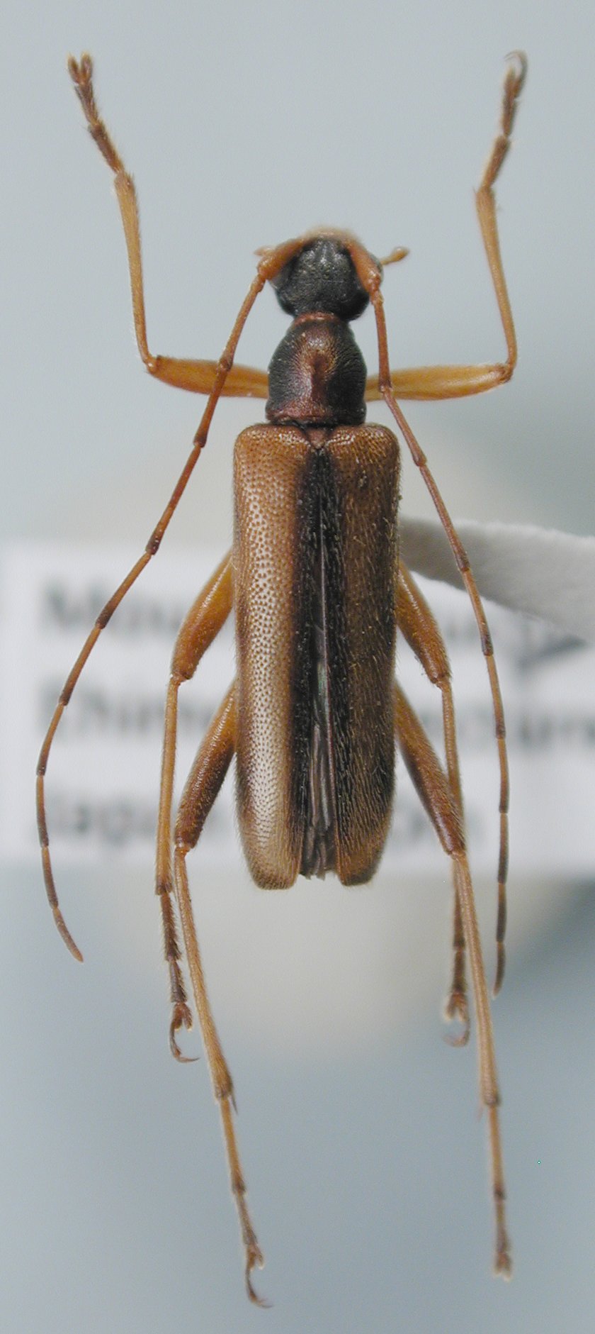
Tribe Pidoniini
Pidonia neglecta neglecta Kuboki 1982

Institution: LGBC Larry G. Bezark Collection, Sacramento, California, USA
Photographer: Larry G. Bezark
Collection Location: Mount Ishizuchi, Ehime Prefecture, Japan
76474

130425