_(Matsushita)_NP_Lord.jpg)
Sex: f Photographer: Nathan P. Lord 56965
|
.jpg)
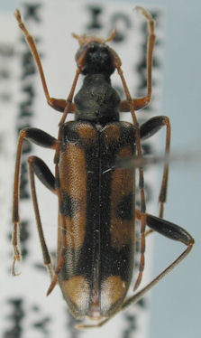
Institution: LGBC Larry G. Bezark Collection, Sacramento, California, USA Photographer: Larry G. Bezark Collection Location: Japan 56966
|

Institution: LGBC Larry G. Bezark Collection, Sacramento, California, USA Photographer: Larry G. Bezark 56983
|
|