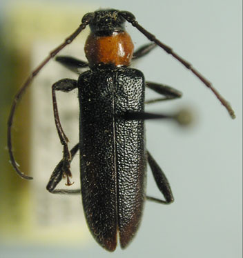
_Chemsak_CAS_7439_LGB.jpg)
Specimen Type: holotype Institution: CAS California Academy of Sciences, San Francisco, CA, USA Photographer: Larry G. Bezark 20659
|
_Chemsak_CAS.jpg)
Specimen Type: allotype Institution: CAS California Academy of Sciences, San Francisco, CA, USA Photographer: Larry G. Bezark 2640
|
_Chemsak_Plumas_Co_Calif_UCB.jpg)
Specimen Type: paratype Institution: UCB Essig Museum of Entomology, Berkeley, California, USA Photographer: Larry G. Bezark Collection Location: Plumas County, California 2641
|

Photographer: Larry G. Bezark 2642
|
|