_heudei_(h)_Gressitt_IZAS_pic.jpg)
Pseudopidonia heudei Gressitt Specimen Type: holotype Sex: m Institution: IZAS Zoological Institute, Chinese Academy of Sciences, Beijing, China Photographer: Meiying Lin Collection Location: T'ien-mu Shan, Zhejiang, China 43020
|
_CAS.jpg)
Pseudopidonia huedei Gressitt Specimen Type: allotype Sex: f Institution: CAS California Academy of Sciences, San Francisco, CA, USA Photographer: Larry G. Bezark Collection Location: T'ien-mu Shan, Zhejiang, China 56958
|
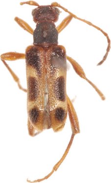
_heudei_(p)_Gressitt_IZAS_pic.jpg)
Pseudopidonia heudei Gressitt Specimen Type: paratype Sex: f Institution: IZAS Zoological Institute, Chinese Academy of Sciences, Beijing, China Photographer: Meiying Lin Collection Location: T'ien-mu Shan, Zhejiang, China 43021
|
|