New Search Family, Subfamily and Tribe List

SubFamily Lepturinae

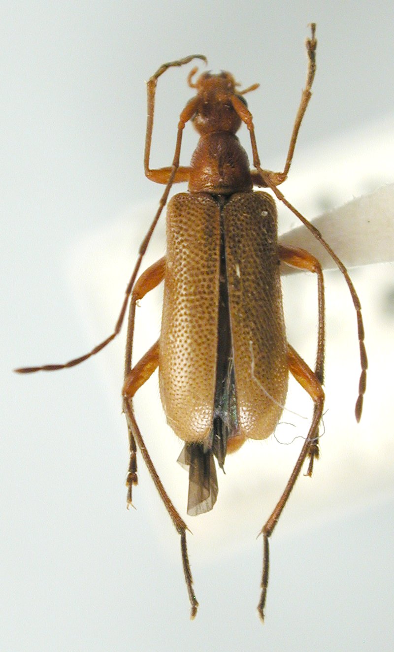
Tribe Pidoniini
Pidonia formosana Tamanuki & Mitono 1939

Institution: JCPC Jim Cope Collection, San Jose, California, USA now at CSCA, Sacramento
Photographer: Larry G. Bezark
Determiner: Jim Cope
Collection Location: Chihtan, Taoyuan, Taiwan
99501

130425