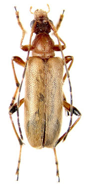
 Kraatz Listvennichnaya river, Borisovskoye plateau, Primorsky krai, Russian Far East Makarov.jpg)
Sex: m Photographer: Kirill V. Makarov Collection Location: Listvennichnaya river, Primorsky krai, Russian Far East 79873
|

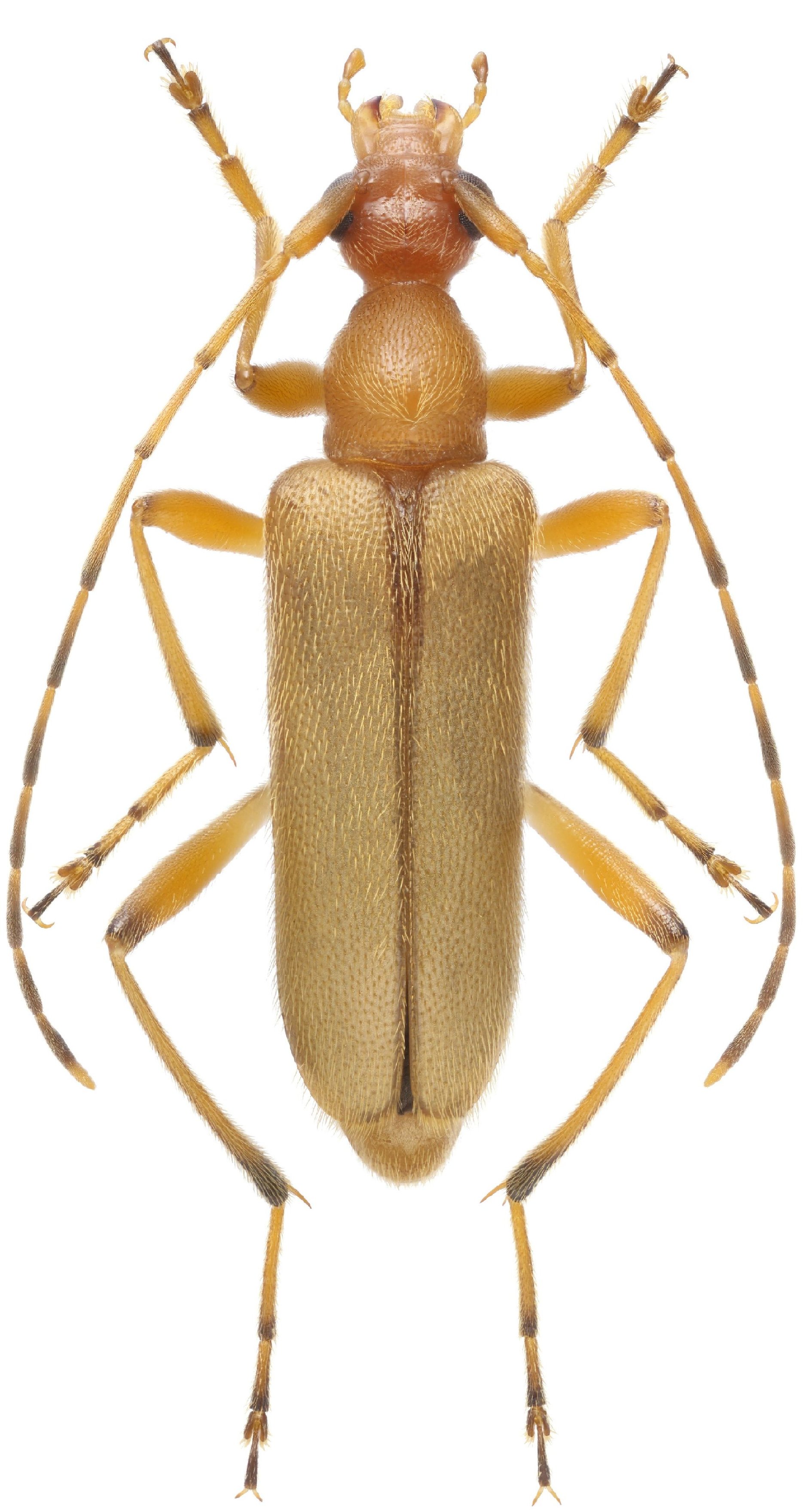
Institution: LGBC Larry G. Bezark Collection, Sacramento, California, USA Photographer: Larry G. Bezark 56943
|

Photographer: Denis Kasatkin Collection Location: Lazo District, Primorsky Territory, Russia 56944
|
|