
Institution: LGBC Larry G. Bezark Collection, Sacramento, California, USA Photographer: Larry G. Bezark Collection Location: China 40661
|
 Olkhovaya Mtn, Sikhote-Alin, Mtns, Partizansky dist, Primorsky Russian Far East Smirnov.jpg)
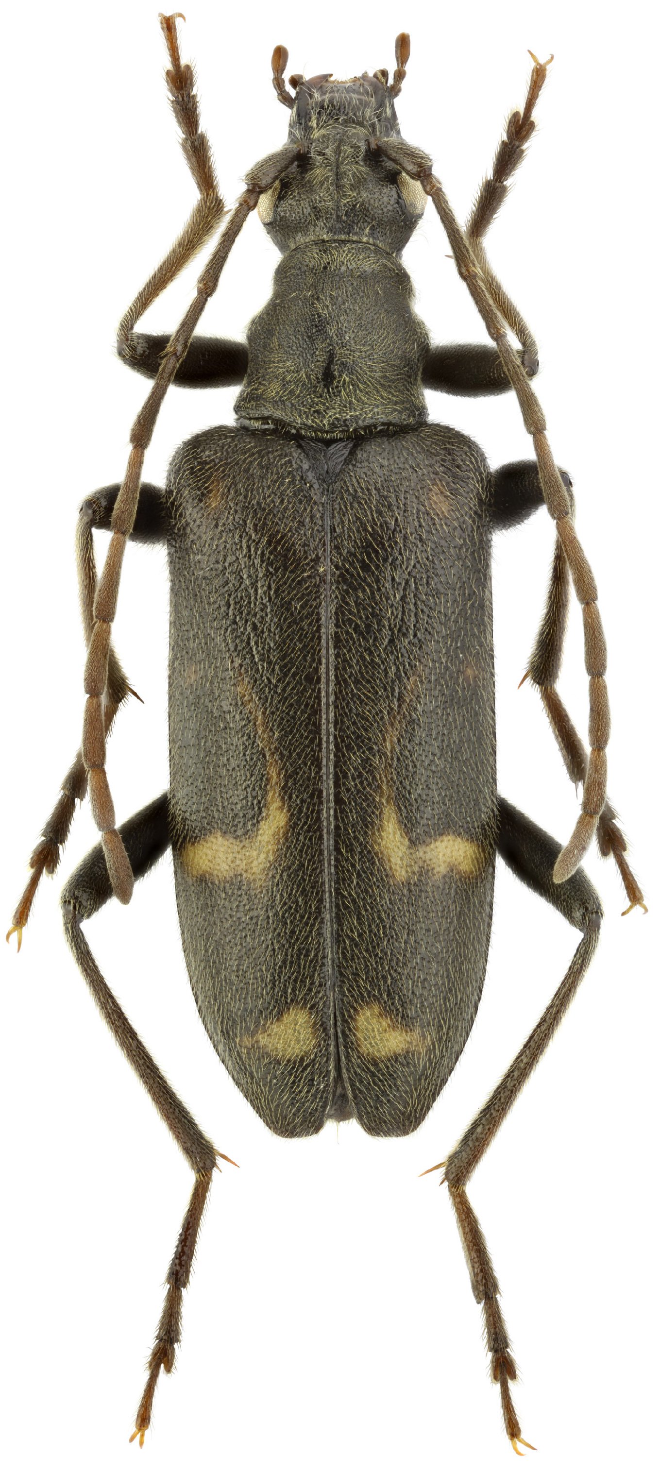
Sex: f Photographer: Maxim E. Smirnov Collection Location: Sikhote-Alin, Mtns, Partizansky dist, Primorsky Russian Far East 79637
|