_Gressitt_IZAS_now_Strangalomorpha.jpg)
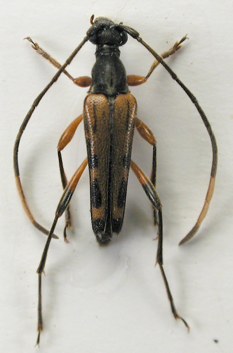
Strangalia chekianga Gressitt Specimen Type: holotype Institution: IZAS Zoological Institute, Chinese Academy of Sciences, Beijing, China Photographer: Meiying Lin Collection Location: T'ien-mu Shan, Zhejiang, China 43088
|
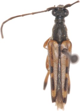
_Tianmushan_Zhejiang_China_LGB.jpg)
Institution: LGBC Larry G. Bezark Collection, Sacramento, California, USA Photographer: Larry G. Bezark Collection Location: T'ien-mu Shan, Zhejiang Province, China 49568
|
 Tianmushan, Zhejiang, China det Tichy JCPC LGB.jpg)
Institution: JCPC Jim Cope Collection, San Jose, California, USA now at CSCA, Sacramento Photographer: Larry G. Bezark Determiner: Tomas Tichy Collection Location: Tianmushan, Zhejiang, China 99374
|
|