New Search Family, Subfamily and Tribe List

SubFamily Lepturinae

Tribe Lepturini
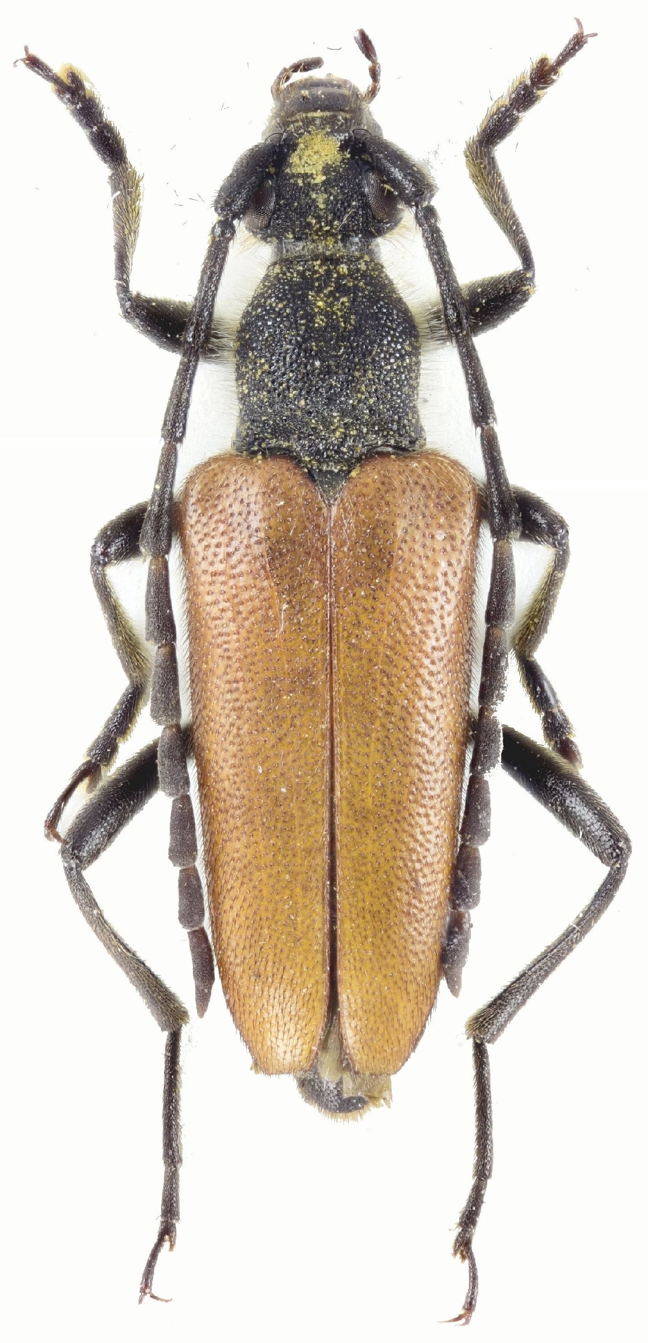
Stictoleptura picticornis (Reitter, 1885)

Institution: Marcin Szewczyk Collection
Photographer: Marcin Szewczyk
Collection Location: Selekano, Diki Mountains, Crete, Greece
78655

130425