New Search Family, Subfamily and Tribe List

SubFamily Lepturinae

Tribe Lepturini
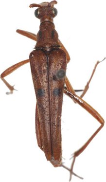
Pygostrangalia tienmushana (Gressitt, 1939)

Strangalia tienmushana Gressitt
Specimen Type: holotype
Sex: f
Institution: IZAS Zoological Institute, Chinese Academy of Sciences, Beijing, China
Photographer: Meiying Lin
Collection Location: T'ien-mu Shan, Zhejiang, China
43099

130425