New Search Family, Subfamily and Tribe List

SubFamily Lepturinae

Tribe Lepturini
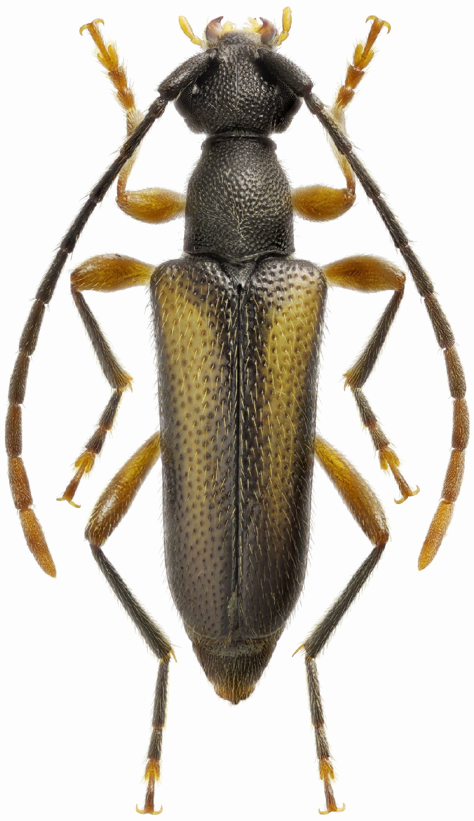
Pseudalosterna elegantula elegantula (Kraatz, 1879)

Photographer: Denis Kasatkin
Collection Location: Promorsky Regiion, Russia
58014


Photographer: Kirill V. Makarov
Collection Location: 11 km SSE Barabash, Khasansky dist, Primorsky Krai, Russian Far East
79900

130425