New Search Family, Subfamily and Tribe List

SubFamily Lepturinae

Tribe Lepturini
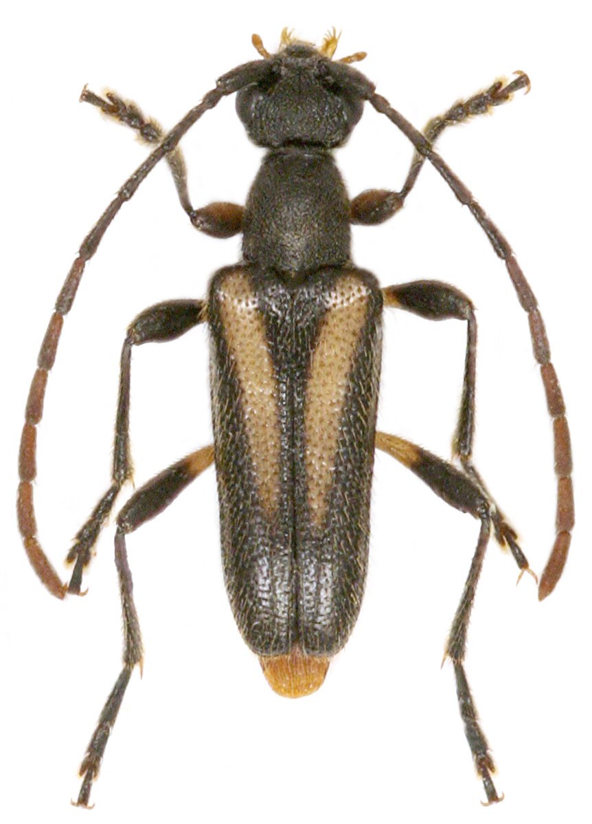
Pseudalosterna jitkae Tichư & Viktora 2017

Specimen Type: holotype
Sex: m
Institution: Tichy Collection
Photographer: Tomas Tichy
Collection Location: vic Muyu, Shennongjia, Hubei Province, China
89661

130425