New Search Family, Subfamily and Tribe List

SubFamily Lepturinae

Tribe Lepturini
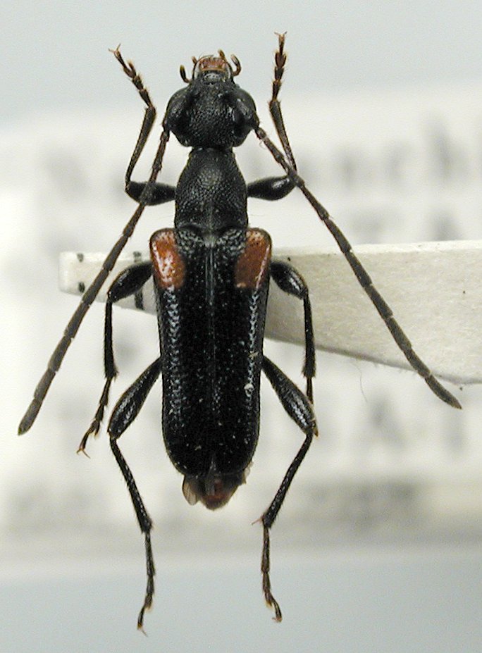
Pseudalosterna binotata (Gressitt, 1935)

Specimen Type: holotype
Institution: CAS California Academy of Sciences, San Francisco, CA, USA
Photographer: Larry G. Bezark
Collection Location: Pianan-Ambu, N Taiwan
31927


Institution: JCPC Jim Cope Collection, San Jose, California, USA now at CSCA, Sacramento
Photographer: Larry G. Bezark
Determiner: Jim Cope
Collection Location: Nanshanchi, Jenai, Nantou, Taiwan
99605

130425