New Search Family, Subfamily and Tribe List

SubFamily Lepturinae

Tribe Lepturini
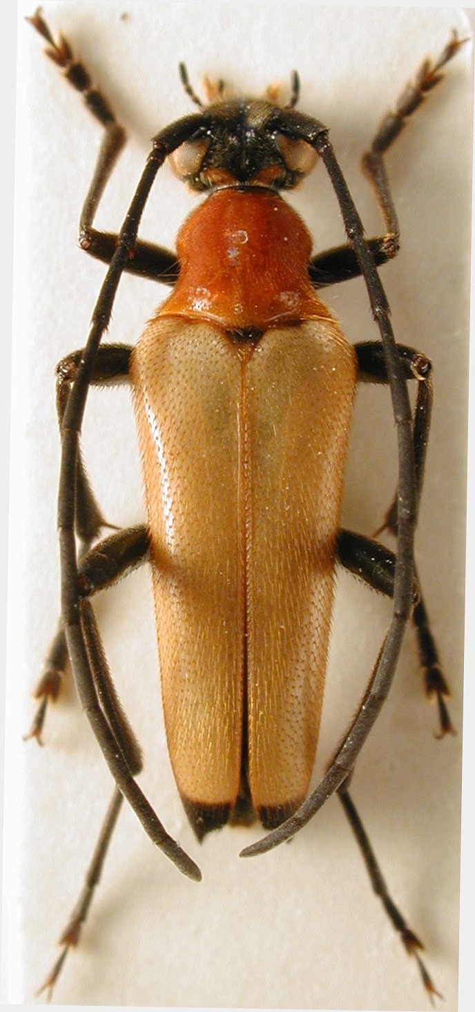
Pedostrangalia tricolorata Holzschuh 1991

Specimen Type: holotype
Sex: m
Institution: Holzschuh Collection
Photographer: Luboš Dembický
Collection Location: Emei Shan, Sichuan Province, China
56308


Sex: f
Collection Location: Pia Oac, Cao Bang Province, Vietnam
65164

130425