_Lingafelter_USNM_Nacimiento_Rio_Yuna_Dom_Rep.jpg)
Specimen Type: holotype Sex: m Institution: NMNH United States National Museum, Washington, DC, USA Photographer: Steve Lingafelter Collection Location: Nacimiento, Rio Yuna, Dominican Republic 30094
|
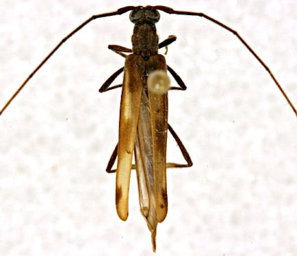
_Lingafelter_USNM_Nacimiento_Rio_Yuna_Dom_Rep.jpg)
Specimen Type: holotype Sex: m Institution: NMNH United States National Museum, Washington, DC, USA Photographer: Steve Lingafelter Collection Location: Nacimiento, Rio Yuna, Dominican Republic 30095
|