_CAS.jpg)
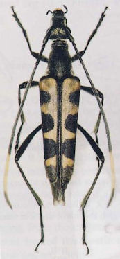
Strangalia shaowuensis Gressitt Specimen Type: allotype Institution: CAS California Academy of Sciences, San Francisco, CA, USA Photographer: Larry G. Bezark Collection Location: Ta-chu-lan, Shaowu, Fujian Province, China 62659
|
_Ohbay.jpg)
Determiner: Elytra, Tokyo 56086
|