New Search Family, Subfamily and Tribe List

SubFamily Lepturinae

Tribe Lepturini
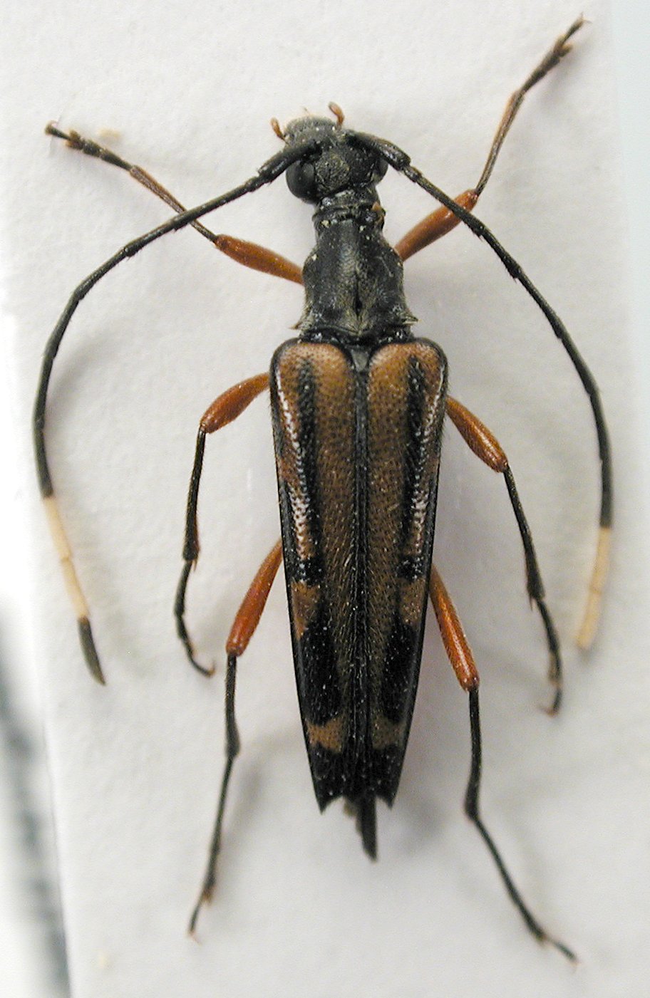
Parastrangalis insignis Holzschuh 1998

Specimen Type: holotype
Sex: m
Institution: Holzschuh Collection
Determiner: Schrift. Forstlichen Bundesversuchsanstalt
Collection Location: Dashenonngjia massif, W Hubei Province, China
56067


Institution: JCPC Jim Cope Collection, San Jose, California, USA now at CSCA, Sacramento
Photographer: Larry G. Bezark
Determiner: Tomas Tichy
Collection Location: Muyu, Shennongjia, Hubei, China
99375

130425