_Gressitt_Japan_USNM.jpg)
Strangalina longicorne Gressitt Specimen Type: holotype Sex: f Institution: NMNH United States National Museum, Washington, DC, USA Photographer: Steve Lingafelter Collection Location: Gusuku, Amami-Oshima Island, Ryukyu Islands, Japan 62654
|

Strangalina longicorne Gressitt Specimen Type: holotype Sex: f Institution: NMNH United States National Museum, Washington, DC, USA Photographer: Steve Lingafelter Collection Location: Gusuku, Amami-Oshima Island, Ryukyu Islands, Japan 62655
|
_CAS.jpg)
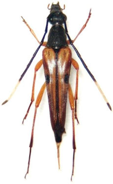
Strangalia longicornis Gressitt Specimen Type: paratype Institution: CAS California Academy of Sciences, San Francisco, CA, USA Photographer: Larry G. Bezark Collection Location: Amami-Oshima Island, Japan 53685
|
_(Gressitt)_Japan.jpg)
Sex: f Collection Location: Japan 53695
|
 Mt Yuwan, Amami Oshima Islands, Japan JCPC LGB.jpg)
Institution: JCPC Jim Cope Collection, San Jose, California, USA now at CSCA, Sacramento Photographer: Larry G. Bezark Determiner: Jim Cope Collection Location: Mt Yuwan, Amami Oshima Islands, Japan 99093
|
 Mt Yuwan, Amami Oshima Islands, Japan JCPC LGB.jpg)
Institution: JCPC Jim Cope Collection, San Jose, California, USA now at CSCA, Sacramento Photographer: Larry G. Bezark Determiner: Jim Cope Collection Location: Mt Yuwan, Amami Oshima Islands, Japan 99094
|
|