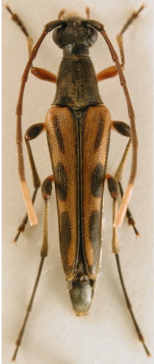
_Holzschuh_Coll_Shaanxi_China_Lubos.jpg)
Specimen Type: holotype Sex: f Institution: Holzschuh Collection Photographer: Lubo Dembický Collection Location: 100 km E Xi'an, Hua Shan peak, Shaanxi Province, China 71487
|
_Holzschuh_FBVA_69.jpg)
Specimen Type: holotype Sex: f Institution: Holzschuh Collection Determiner: Schrift. Forstlichen Bundesversuchsanstalt Collection Location: 100 km E Xi'an, Hua Shan peak, Shaanxi Province, China 51707
|