New Search Family, Subfamily and Tribe List

SubFamily Lepturinae

Tribe Lepturini
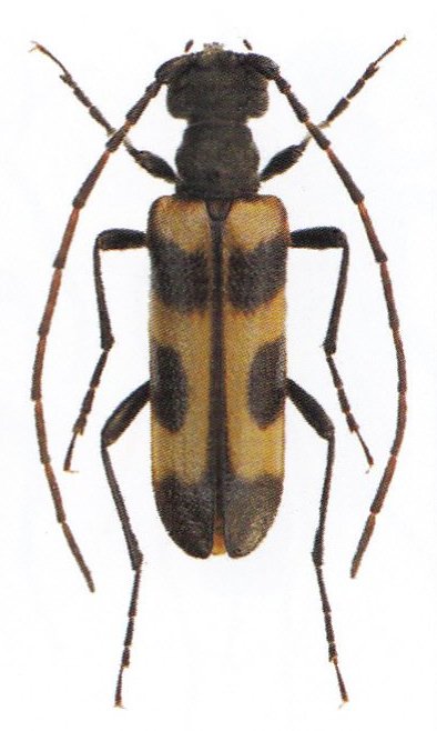
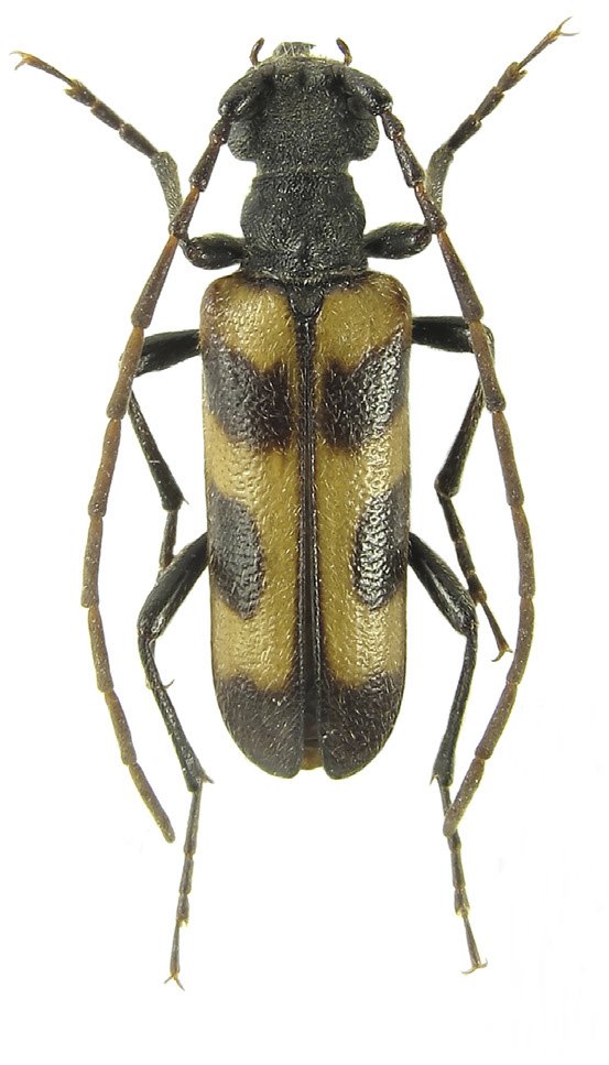
Katarinia murzini Miroshnikov 2015

Specimen Type: holotype
Sex: m
Institution: Murzin Collection
Photographer: Maxim Lazarev
Collection Location: vic Zhouzhi, Taibaishan, Shaanxi, China
100832


Sex: m
Photographer: Meiying Lin
Collection Location: Qinling Mountains, China
73381

130425