_Gounelle_Napp_Rev_Bras_Ent.jpg)
Specimen Type: syntype Institution: MNHN Museum of Natural History Paris, France Collection Location: Goias or Minas Gerais, Brazil 23588
|

Institution: BMNH British Museum Natural History, London, UK Photographer: Larry G. Bezark 47194
|
_Gounelle_Napp_Jatai_Goias_Brasil.jpg)
Sex: m Collection Location: Jataí, Goiás, Brasil 24355
|
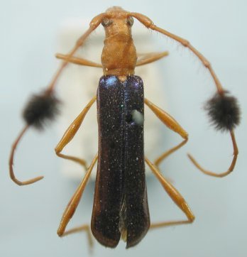
 Gounelle MZSP Brazil (Goiás) SS.jpg)
Sex: m Institution: MZSP Museu de Zoologia da Universidade de São Paulo, Brazil Photographer: Antonio Santos-Silva Collection Location: Goiás, Brazil 96004
|

Institution: BMNH British Museum Natural History, London, UK Photographer: Larry G. Bezark 47195
|
|