New Search Family, Subfamily and Tribe List

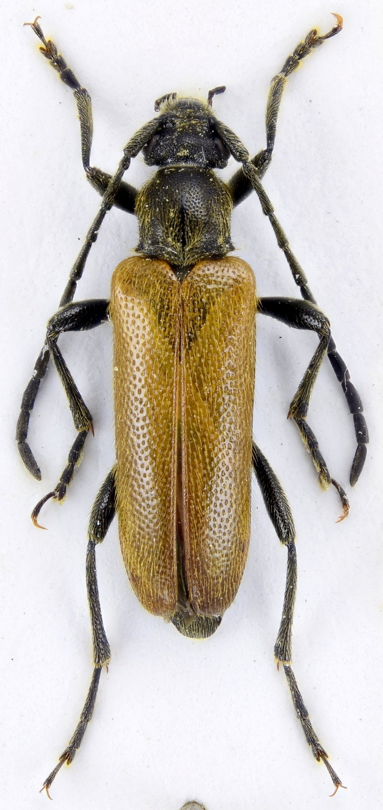
SubFamily Lepturinae

Tribe Lepturini
Alosterna pauli Pesarini, Rapuzzi & Sabbadini 2004

Institution: Marcin Szewczyk Collection
Photographer: Marcin Szewczyk
Collection Location: Agios loannis, Peloponnesia, Greece
78641

130425