New Search Family, Subfamily and Tribe List

SubFamily Prioninae

Tribe Prionini
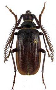
Plumiprionus boppei (Lameere, 1912)

Sex: m
Photographer: Mikhail Danilevsky
59215


Sex: m
Photographer: Mikhail Danilevsky
59216


Sex: f
Photographer: Mikhail Danilevsky
59217


Sex: f
Photographer: Mikhail Danilevsky
59218

130425