New Search Family, Subfamily and Tribe List

SubFamily Prioninae

Tribe Prionini
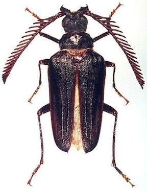
Monocladum aegyptiacum aegyptiacum (Guerin-Meneville, 1844)

Sex: m
Photographer: Jiri Lorenc
Collection Location: Negev desert, Israel
53885

130425