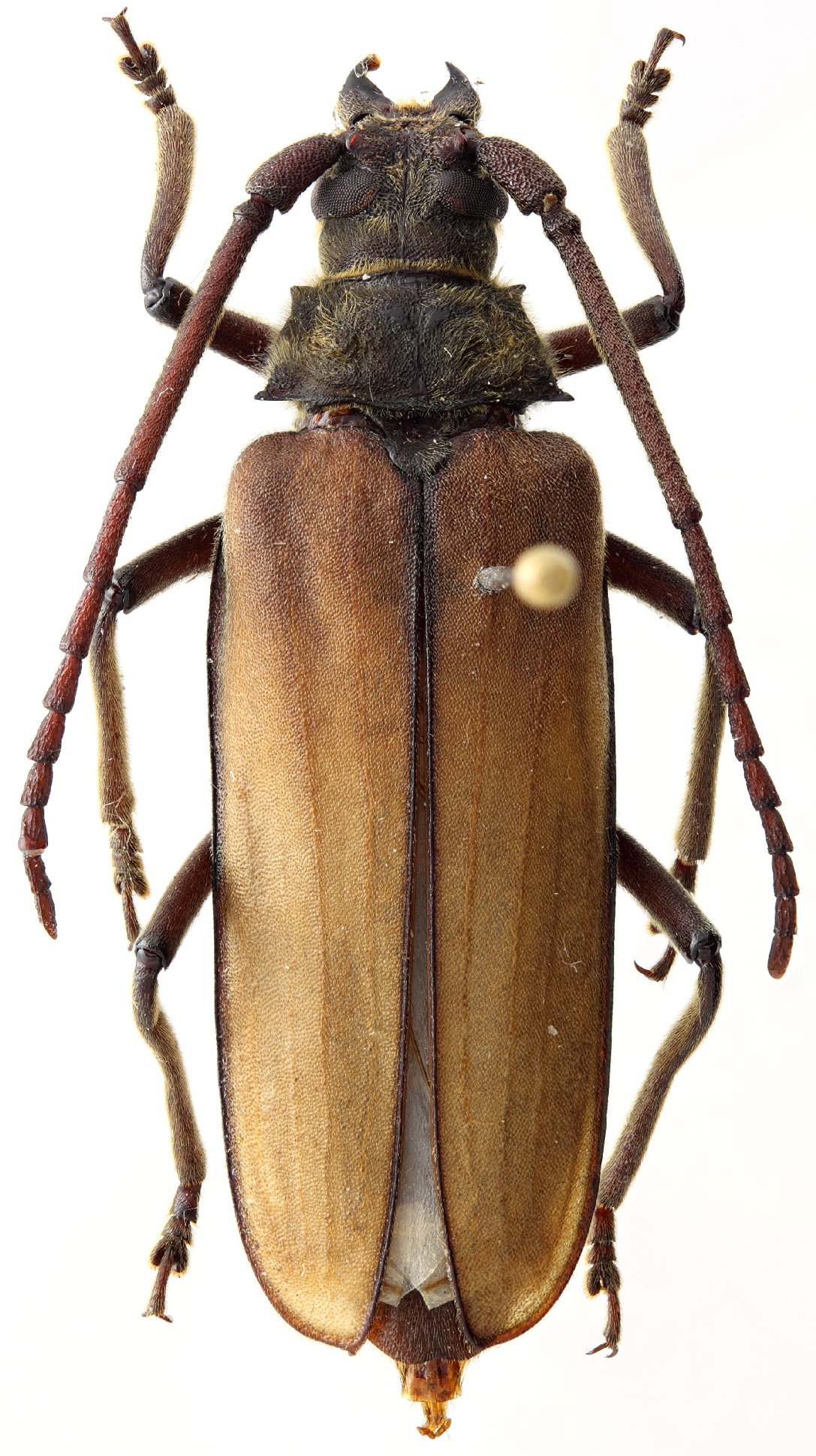
_Komiya_IRSNB_Luodingshan_Dezhou_Guangdong_China_J_Pirkl5.jpg)
Specimen Type: holotype Sex: f Institution: RBINS Royal Belgian Institute of Natural Sciences, Brussels, Belgium Photographer: J Pirkl Collection Location: Luoding City, Guangdong Province, China 60994
|
_Komiya_IRSNB_Luodingshan_Dezhou_Guangdong_China_J_Pirkl5.jpg)
Specimen Type: holotype Sex: f Institution: RBINS Royal Belgian Institute of Natural Sciences, Brussels, Belgium Photographer: J Pirkl Collection Location: Luoding City, Guangdong Province, China 65789
|
_Komiya_IRSNB_Luodingshan_Dezhou_Guangdong_China_J_Pirkl5.jpg)
Specimen Type: holotype Sex: f Institution: RBINS Royal Belgian Institute of Natural Sciences, Brussels, Belgium Photographer: J Pirkl Collection Location: Luoding City, Guangdong Province, China 65790
|
_Komiya_IRSNB_Luodingshan_Dezhou_Guangdong_China_J_Pirkl5.jpg)
Specimen Type: holotype Sex: f Institution: RBINS Royal Belgian Institute of Natural Sciences, Brussels, Belgium Photographer: J Pirkl Collection Location: Luoding City, Guangdong Province, China 65791
|
|