_Bates_Darjeeling_Assam_India_Drumont.jpg)
Sex: m Photographer: Alain Drumont Collection Location: Darjeeling, Assam, India 74015
|
_Bates_Darjeeling_Assam_India_Drumont.jpg)
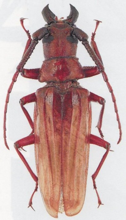
Sex: f Photographer: Alain Drumont Collection Location: Darjeeling, Assam, India 74016
|
 (Bates) Motuo, Xizang, China Drumont pic.jpg)
Sex: m Photographer: Alain Drumont Collection Location: Motuo, Xizang, China 79132
|
 (Bates) Motuo, Xizang, China Drumont pic.jpg)
Sex: m Photographer: Alain Drumont Collection Location: Motuo, Xizang, China 79133
|
 (Bates) IRSNB Pedong, West Bengal, India Drumont pic.jpg)
Sex: m Institution: IRSNB Royal Belgian Institute of Natural Sciences, Brussels, Belgium Photographer: Alain Drumont Determiner: Les Cahiers Magellanes Collection Location: Kurseong, West Bengal, India 81367
|
 (Bates) IRSNB Kurseong, West Bengal, India Drumont pic.jpg)
Sex: f Institution: IRSNB Royal Belgian Institute of Natural Sciences, Brussels, Belgium Photographer: Alain Drumont Determiner: Les Cahiers Magellanes Collection Location: Kurseong, West Bengal, India 81368
|
|