New Search Family, Subfamily and Tribe List

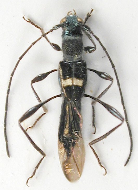
SubFamily Cerambycinae

Tribe Molorchini
Molorchus albofasciatipennis (Hayashi, 1979)

Institution: JCPC Jim Cope Collection, San Jose, California, USA now at CSCA, Sacramento
Photographer: Larry G. Bezark
Determiner: Tomas Tichy
Collection Location: Gunung Jasar, Cameron Highlands, Malaysia
99118

130425