_Zhongxinlun_Kaohsiung_Taiwan_TARI.jpg)
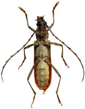
Institution: TARI Taiwan Agriculture Research Institute, Taichung Collection Location: Zhongxinlun, Kaohsiung, Taiwan 41480
|
_(Matsushita)_Zhongxinlun_Kaohsiung_Taiwan_TARI.jpg)
Institution: TARI Taiwan Agriculture Research Institute, Taichung Collection Location: Zhongxinlun, Kaohsiung, Taiwan 41481
|
_(Matsushita)_Zhongxinlun_Kaohsiung_Taiwan_TARI.jpg)
Institution: TARI Taiwan Agriculture Research Institute, Taichung Collection Location: Zhongxinlun, Kaohsiung, Taiwan 41482
|
_(Matsushita)_Zhongxinlun_Kaohsiung_Taiwan_TARI.jpg)
Institution: TARI Taiwan Agriculture Research Institute, Taichung Collection Location: Zhongxinlun, Kaohsiung, Taiwan 41483
|
_Wushe_Nantou_Ren-ai_Taiwan_TARI.jpg)
Institution: TARI Taiwan Agriculture Research Institute, Taichung Collection Location: Wushe Nantou Ren-ai, Taiwan 41484
|
|