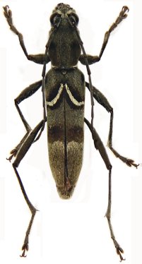
_Pic_MNHN_Annam_Vietnam_now_annamensis_Vikt_.jpg)
Demonax diversefasciatus Pic Specimen Type: holotype Institution: MNHN Museum of Natural History Paris, France Photographer: Petr Viktora Collection Location: Annam, Vietnam 71397
|
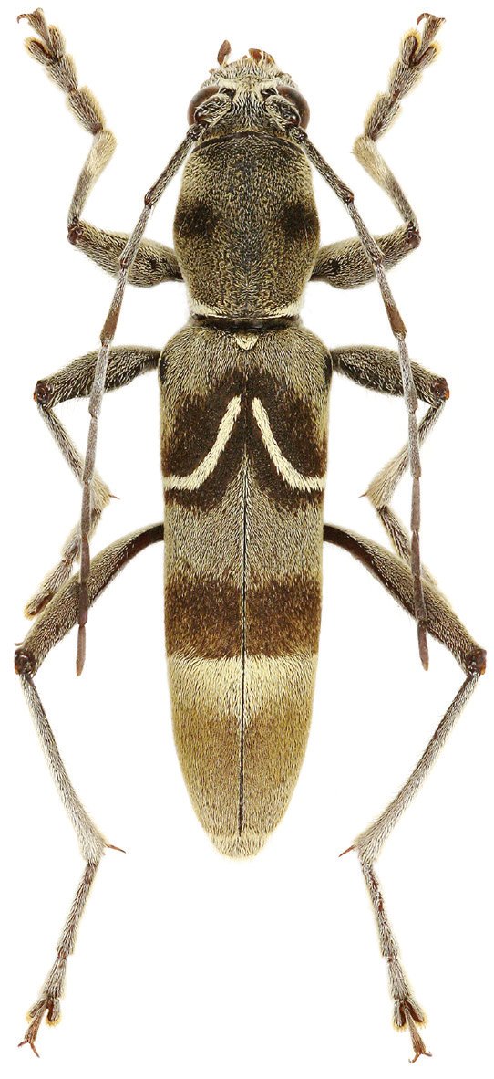
_Pic_MNHN_Annam_Vietnam_now_annamensis_Vikt_.jpg)
Demonax diversefasciatus Pic Specimen Type: holotype Institution: MNHN Museum of Natural History Paris, France Photographer: Petr Viktora Collection Location: Annam, Vietnam 71398
|

Institution: LGBC Larry G. Bezark Collection, Sacramento, California, USA Photographer: Larry G. Bezark Collection Location: Yen Bai Province, Vietnam 89403
|

Institution: LGBC Larry G. Bezark Collection, Sacramento, California, USA Photographer: Larry G. Bezark Collection Location: Yen Bai Province, Vietnam 89404
|

Photographer: Meiying Lin 41923
|

Photographer: Xavier Gouverneur, Cerambycoidea Forum Collection Location: NE Laos 36509
|
_Pic_Vikt_coll_Hua_Phan_Laos_Vikt_.jpg)
Sex: m Institution: Viktora Collection Photographer: Petr Viktora Collection Location: Hua Phan, Laos 71399
|
_Pic_Vikt_coll_Xieng_Khouang_Laos_Vikt_.jpg)
Sex: f Institution: Viktora Collection Photographer: Petr Viktora Collection Location: Xieng Khouang, Laos 71400
|