New Search Family, Subfamily and Tribe List

SubFamily Dorcasominae

Tribe Dorcasomini
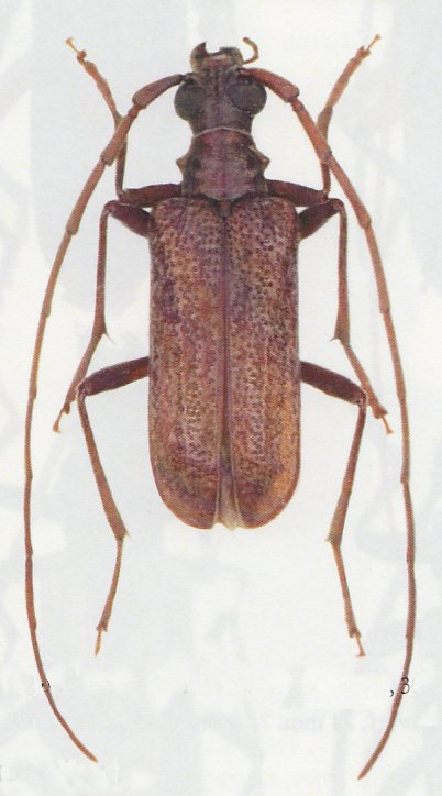
Afroartelida tenuisseni Vives & Adlbauer 2005

Specimen Type: holotype
Sex: m
Determiner: Les Cahiers Magellanes
Collection Location: Halali Camp, Etosha Nat'l Park, Namibia
31322


Sex: m
Photographer: Eduard Vives
Collection Location: Namibia
73993


Sex: f
Photographer: Eduard Vives
Collection Location: South Africa
73994

130425