 Juhel Bentanachs MNHN Escarpment, Kenya.jpg)
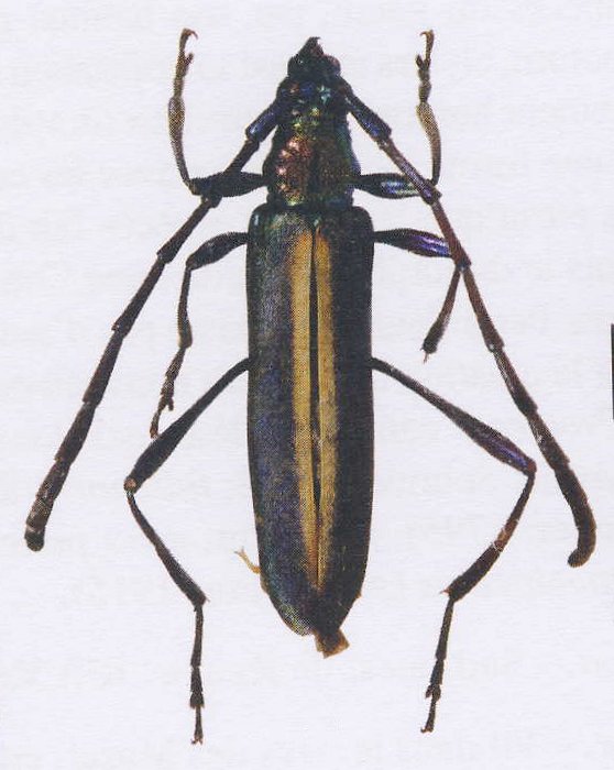
Specimen Type: holotype Sex: m Institution: MNHN Museum of Natural History Paris, France Photographer: Pierre Juhel Collection Location: Escarpment, Kenya 78955
|
 Juhel Bentanachs MNHN Escarpment, Kenya.jpg)
Specimen Type: holotype Sex: m Institution: MNHN Museum of Natural History Paris, France Photographer: Pierre Juhel Collection Location: Escarpment, Kenya 78956
|
 Juhel Bentanachs MNHN Escarpment, Kenya.jpg)
Specimen Type: paratype Sex: f Institution: MNHN Museum of Natural History Paris, France Photographer: Pierre Juhel Collection Location: Escarpment, Kenya 78957
|
 Juhel Bentanachs MNHN Escarpment, Kenya.jpg)
Specimen Type: paratype Sex: f Institution: MNHN Museum of Natural History Paris, France Photographer: Pierre Juhel Collection Location: Escarpment, Kenya 78958
|
|