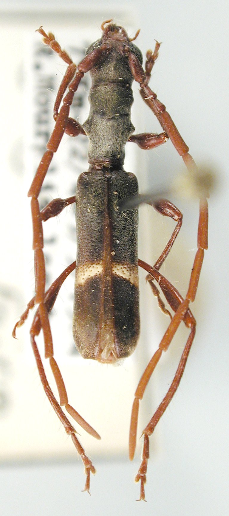
_(Fairmaire)_Ethiopia_Adlbauer.jpg)
Sex: m Photographer: Karl Adlbauer Collection Location: Ethiopia 55261
|
 Mogadishu, Somalia JCPC LGB.jpg)
Institution: JCPC Jim Cope Collection, San Jose, California, USA now at CSCA, Sacramento Photographer: Larry G. Bezark Determiner: Jim Cope Collection Location: Mogadishu, Somalia 99335
|