New Search Family, Subfamily and Tribe List

SubFamily Cerambycinae

Tribe Cerambycini
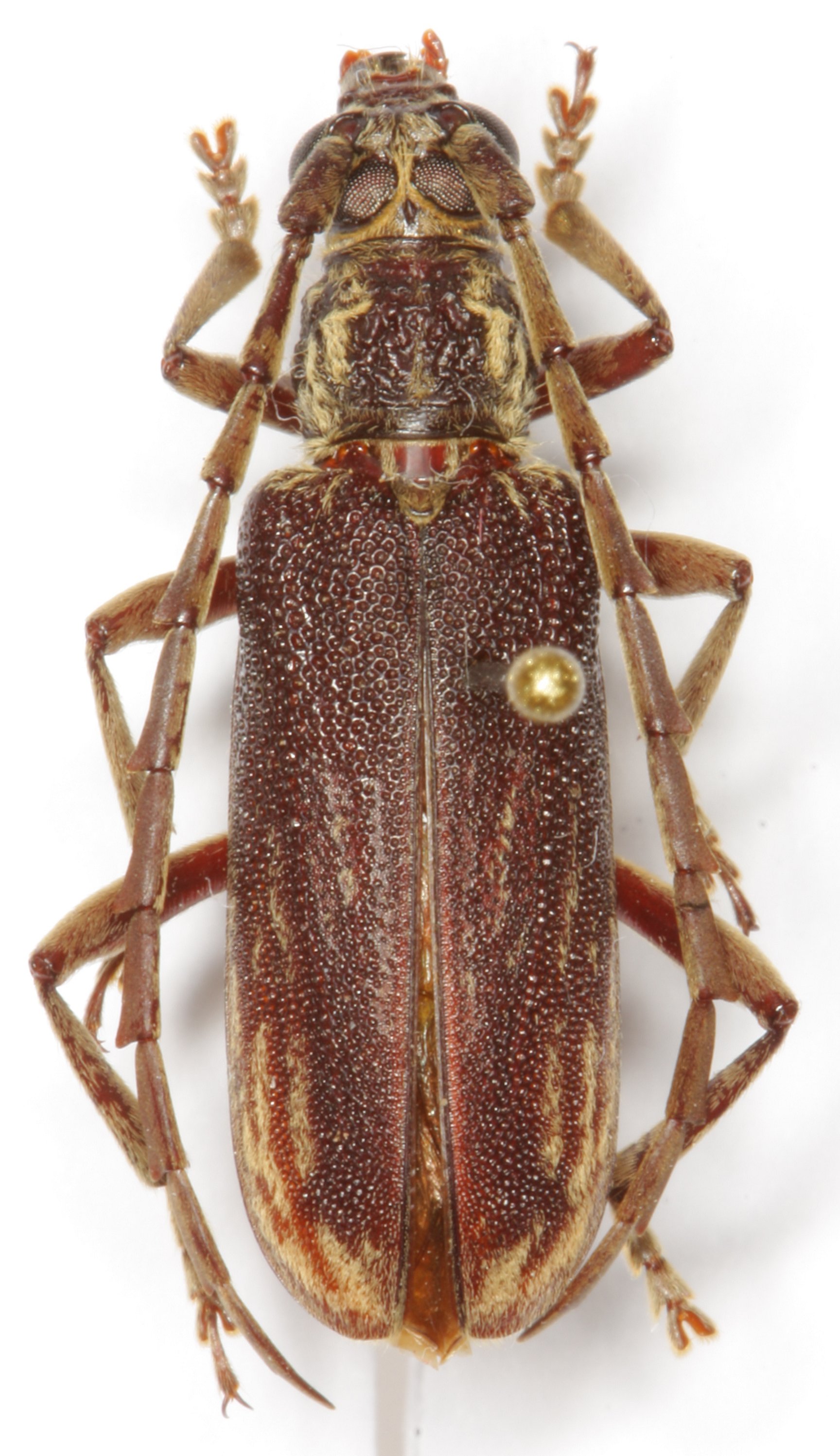
Xoanodera wongi Huedepohl 1989

Specimen Type: maybe this taxon
Sex: f
Institution: Heffern Collection
Photographer: Dan Heffern
71941


Photographer: Gerard Chemin, Cerambycoidea Forum
Collection Location: Cameron Highlands, Malaysia
45540

130425