New Search Family, Subfamily and Tribe List

SubFamily Cerambycinae

Tribe Stenopterini
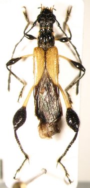
Merionoeda africana aethiopica Adlbauer 1994

Specimen Type: holotype
Sex: m
Institution: Adlbauer Collection
Determiner: Koleopterologische Rundschau
Collection Location: Konso, Omo Region, Gemu Gofa Province, Ethiopia
52381


Photographer: Karl Adlbauer
Collection Location: Ethiopia
72619


Photographer: Vitali Nagirnyi, Cerambycoidea Forum
Collection Location: Tanzania
52382

130425