New Search Family, Subfamily and Tribe List

SubFamily Cerambycinae

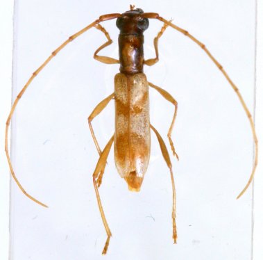
Tribe Tropidini Compsina
Microibidion kawense Audureau 2015

Specimen Type: holotype
Sex: m
Institution: MNHN Museum of Natural History Paris, France
Photographer: Alain Audureau
Collection Location: Route de Kaw, French Guiana
48875

130425